骨盆是一个相当有趣又复杂的结构。每一个人在还是胎儿的时候都待过母亲的骨盆腔,因此说骨盆是孕育生命之所一点也不为过。就因为骨盆独特的解剖构造与位置:上呈脊椎,下接下肢,正好居于枢纽位置足以影响整个脊椎功能的缘故,许多脊骨神经医师(Doctor of Chiropractic)对于骨盆都相当的重视。Sacro- occipital Technique(SOT,荐椎枕骨矫正术),Logan Basic Technique(罗亘根基矫正术)这两项脊骨矫正技术特别着重在骨盆的平衡与矫正。那骨盆歪斜该如何判断?最简单的方法就是先从外观上来判断。检查骨盆是否有一高一低?(下图左高右低)有无一前一后?平躺(or趴着)时有无长短脚?趴着时屁股有无一高一低…等等都是最简单的检查方式。其他较为专业的以X光摄影分析、触诊、动作检查…都能用来判断骨盆歪斜的情况。

日前有朋友拿着被骨科医师说正常的X光片来询问我的看法。事实上正好突显出西医(Medical Doctor,MD)与脊医(Doctor of Chiropractic,DC)在训练上不同的地方。脊医(DC)养成训练上除了必须经过基本医学影像摄影判读的过程来判断骨折、各式良性/恶性骨瘤、先天性异常、感染、关节炎…等等西医(MD)也必须经过的训练之外。对于脊椎骨相对位置与错位的判别更是经过一番训练。一般西医(MD)说的正常泛指没有骨折、脱臼、感染、肿瘤…等等病灶(Pathology)。若是X片中没有病灶,基本上可能就属于软组织(肌肉、肌腱、韧带、关节囊…等等)受伤。所以用西医(MD)角度来看片子算是“正常”,而脊医(DC)却是会仔细评价各关节面的角度与错位加以分析作为矫治的参考(Gonstead Tech.冈士得矫正技术),一评价下来往往可能会发现明显的骨盆错位。
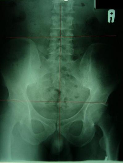
一般最常见到骨盆歪斜的案例包括产后骨盆不正、车祸、撞击、跌倒、姿势不良…等等造成。骨盆歪斜的典型症状包括腰部、髋臀部、腿、膝部疼痛。列举三个自在美国取得脊医执照以来曾经处理过骨盆歪斜相当明显的案例。都是骨盆部位曾经遭受撞击。案例A是超过十年以上的陈年车祸旧伤、另一案例B是急性摔伤(两天内)的案例。两者的X光片都依照美国脊医X摄影方式采站姿摄影评价。借此同时评价骨盆在重力(gravity)影响下的反应。也可以泯除躺歪斜摄影而造成图像不正的情况。最简单的评价要点包括骨盆高低边?中线是否穿越耻骨联合?左右两边是否对称?我简单的几条线一画,相信连外行人也可以看出明显的骨盆歪斜的情况。案例A属陈旧性伤害在调理约两个月后明显降低腰臀腿部的不舒服。而案例B属急性伤害,案例B在调理近三周后骨盆疼痛由原先的持续疼痛降低为完全不痛。之后的骨盆X光摄影重新评价也显示骨盆旋转的问题大幅改善。
案例A:右骨盆明显较低中线未穿过耻骨联合

案例B:左图调理前骨盆严重歪斜左右极不对称 ;右图调理后骨盆歪斜改善骨盆圈呈现对称心型圆弧

理想骨盆相对位置:两边骨盆、股骨头对称等高、中线穿过腰椎荐椎与耻骨联合、骨盆环呈现对称心形

严重不对称案例,伴随腰椎向左倾斜

另一个深刻的案例C正好是我前老板Dr.DeAngelo,DC的病人。是位二十多岁的黑人女性。这也是显示美国整合式医疗对患者助益的最佳案例。案例因为车祸造成骨盆严重多处骨折。当时由于某些因素患者无法接受手术治疗,骨科医师最初也告知患者这辈子很可能都必须靠轮椅移动,无法再走路了。这案子先转由诊所内物理治疗师Wyane先行评价与复健。由于骨盆复杂性骨折的关系,初期能做的复健活动相当有限。患者臀部与下肢也都因为长期以石膏固定而造成严重肌肉萎缩。在中期复健过程骨盆的稳定度以及肌肉强度的训练更是让这位年轻的小姐吃足了苦头。复健后期物理治疗师与脊骨神经医师共同照料骨盆,脊医所提供的骨盆矫正也解决了之前单靠复健运动未能改善的鼠蹊部疼痛的治疗瓶颈。长达两年多的艰辛复健,最后这一位小姐可以完全自主的步行并仅仅需要简单的小拐杖(cane)辅助。她的主治骨科医师也对她以不开刀治疗而能有这般的复原程度感到相当震惊与满意。
脊椎矫正有许多不同的技术与派别。针对不同案例与情况例如急性期与陈旧性伤害,还有骨折愈合后、手术后所使用的矫治方式也会有所不同。美国是由专业的脊医(D.C.)经完整评价给予适合的矫治方式,同时可以依整合医学模式给予患者全方面的评价与治疗。在国内由于缺乏完整制度,民众想要选择有保障的脊椎矫正只好自求多福。