随着犬猫的年龄增长,难免会碰到一些中老年的疾病,这会增加很多宠主的负担和压力,但是有一些犬猫的中老年疾病是可以进行预防的,类似于母猫与母犬的子宫蓄脓,在宠物医学上母犬发生子宫蓄脓的概率是远远大于母猫的,但是母猫也还是可能会出现子宫蓄脓(简单的讲就是因为母犬母猫是平行于地面,而不是垂直于地面,体内的一些不干净的东西没办法垂直掉落并且会长期的积累,很容易造成子宫的感染而出现子宫蓄脓)。

如果我们早期给母犬母猫进行绝育手术那就可以预防这个疾病了(但是要关注一点,做绝育手术结扎子宫时一定要用米勒结,否则也会造成子宫残端内发生蓄脓)。当然也有一部分的宠主会比较心疼自己的爱宠不舍得给爱宠做绝育手术,当然,犬猫的绝育手术并不是需要强制进行的,这个决定权也在于宠主。今天就给大家带来一个子宫蓄脓的病例,然后给大家科普一下犬猫子宫蓄脓的小知识。要不要给宠物进行绝育手术,还是宠主自己决定哟~~

犬猫与人的区别
饲养母犬母猫有什么潜在的“麻烦”?
那当然是和今天的主题环环相扣呀,母犬母猫如果在年轻时未进行绝育,那么随着宠物的年纪慢慢的增长,在宠物的中老年期,会很容易出现一些宠物的“妇科疾病”——子宫蓄脓。而且这个疾病出现的概率还是蛮大的,并不低哦。

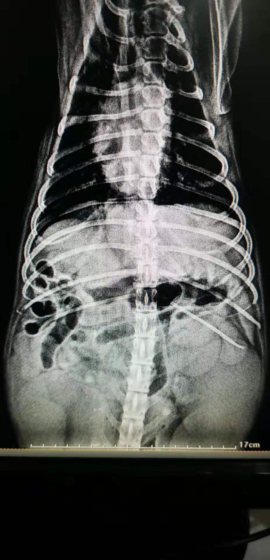
X光的摄片
一例犬的子宫蓄脓病例
- 病例的信息:8岁,中华田园犬,母。临床出现呕吐,眼结膜潮红,眼球凹陷,外阴户未见分泌物,腹围增大,精神差,多饮多尿的症状进行就诊。
- 临床的体格检查:体温:38.0°C,呼吸:22次/min,心率110次/min。
- 实验室检查:血常规白细胞指标升高约4倍,生化球蛋白升高,x光可见腹腔子宫位置扩张占位。B超下腹腔多个液性暗区,最大子宫直径可达5cm。

X光的摄片
饲主由于个人的一些原因要求选择保守治疗,告知饲主保险治疗的风险系数很高,有可能治疗无效并导致疾病的加重造成宠物的死亡,就算保守治疗成功,日后复发的概率十分的高,还是建议进行外科的手术,饲主坚持进行保守治疗,签订风险知情同意书后采用安格斯酮保守治疗的方案进行治疗。
- 第一日,静脉喹诺酮类抗生素和皮下阿莫西林克拉维酸钾注射液,皮下在注射安格斯酮药物。
- 第二日,外阴户少量脓性分泌物流出,封闭式转为开放式是一个很好的前兆,也会增加动物的存活几率。
- 接下去每日进行抗生素治疗,患犬的精神状态好转,也能进食少量的罐头。
- 治疗第七日,配了点口服的抗生素,回家照顾护理,3周后复诊。
此病例在保守治疗成功后,没过多久就复发了,复发后,饲主果断选择外科治疗。

血常规指示高炎症
那么什么是犬猫的子宫蓄脓呢?
额~~最通俗的讲就是母犬母猫的子宫内出现了感染化脓,然后脓性的分泌物在子宫内积累,这个现象就叫做子宫蓄脓。在于母犬一般是发生在4~12岁之间,中位发病年龄一般是在6岁左右;在于母猫一般是在5岁左右。在于犬猫,发情期过后以及流产过后,身体的抵抗力下降,十分容易会出现此疾病,并且严重的子宫蓄脓会造成子宫的穿孔,并且还是出现全身性的症状,不及时处理还会出现败血性的休克,甚至会导致犬猫的死亡。
临床上,我们可以将犬猫的子宫蓄脓分为开放式子宫蓄脓和封闭式子宫蓄脓。顾名思义,开放式的子宫蓄脓就是子宫内的积脓会排出体外,我们可以看到犬猫的屁股后面会留出黑褐色的脓性分泌物;封闭式的子宫蓄脓就是完全封闭的,子宫内的积脓不会流出,我们也看不到犬猫的屁股后面有脏东西。

当然开放式的子宫蓄脓会慢慢的转变为封闭式的子宫蓄脓,而封闭式的子宫蓄脓也会转变为开放式的子宫蓄脓。犬猫开放式的子宫蓄脓如果能够得到及时的治疗,并不会出现很高的死亡率,一旦转为封闭式的子宫蓄脓,又不及时进行处理,那就会相当的危险,而子宫蓄脓最好的处置方法就是外科切除子宫卵巢(就好比做个绝育手术),及时的治疗能够预防犬猫发生脓毒血症或者子宫穿孔等严重的并发症。
当然有些封闭式的子宫蓄脓在刚开始的时候并不会引起主人的关注,导致宠物没有得到及时的处理,这样的情况下,宠物会很容易出现一些并发症,类似于脓毒血症等,这样的情况下,我们并不能直接进行外科处理,必须先进行输液的纠正,再进行手术。

犬猫的子宫蓄脓在临床上有什么症状呢?
上文也说了,封闭式的子宫蓄脓在初始的阶段,是不太容易被发现的,不管封闭式的子宫蓄脓还是开放式的子宫蓄脓,在初始阶段,犬猫的临床表现都不会很明显,大部分的犬猫还是该吃吃该喝喝,一点也不像生病的样子。等到初始阶段一过,犬猫的外阴户就会流出脓性的分泌物,轻度的发热,食欲的下降,精神的沉郁以及多饮多尿等症状,在拖得时间久一点,犬猫还可能出现结膜的潮红,腹围的增大,背脊线的消瘦等等严重的全身性症状,这样的情况下犬猫就有可能出现败血性的休克以及腹膜炎等死亡率较高的并发症。

如何诊断犬猫的子宫蓄脓呢?
如果有B超机,诊断犬猫的子宫蓄脓是比较简单方便的。如果没有B超机的,可以采用综合判断,结合血液的检查和临床症状以及x光的拍摄等就可判定。
- B超机的检查:超声可见腹部多个液性暗区,内低回声,子宫扩张。
- x光的检查:可见腹部子宫区有强回声占位。
- 血常规的检查:白细胞升高(提示炎症)。
- 生化检查:可能会出现球蛋白升高,其他的指标在每一个不同的病例上都是不同的,如果不及时治疗的犬猫,出现了败血症等,就会出现多个指标的异常;如果及时治疗的,可能所有的指标都还处在正常的范围之内。

生化的检查
子宫蓄脓如何治疗呢?
最直接最有效的治疗方案就是进行外科手术的切除,但是有部分主人,不忍心将自己的爱宠进行绝育,这样的情况下,可以进行药物的保守治疗。但是根据本人的经验,封闭式的子宫蓄脓进行保守治疗的风险太大,不建议进行。开放式的子宫蓄脓进行保守治疗的成功概率相对来说高一点。但是进行保守治疗并成功恢复的宠物再下一次发情的时候就很有可能会复发,所以,子宫蓄脓最好的治疗办法还是进行外科的手术。

总结及延伸
为了避免此类情况的发生,可以在宠物年轻时选择绝育,避免宠物的年纪上去了发生子宫蓄脓。如果不打算让自己的宠物进行生育的,可以在一岁之前进行绝育(一岁之前进行绝育,也可以有效的降低日后乳腺肿瘤的发生概率)。
子宫蓄脓的病例,如果是封闭式的建议直接进行外科手术,保守治疗风险实在是太大了,很有可能让宠物死于突如起来的并发症。一旦宠物出现了并发症,进行外科的手术,也会存在一定的死亡率,也有可能让宠物不能熬过麻醉的大关。
