
本周最热话题之一,当属生活不止眼前的苟且。去哪里寻找属于自己的诗、远方、田野,成了很多人的新困惑。
小编不会写诗,但知道那些藏在远方田野里的美味,蕨菜、香葱、椿芽、折耳根、清明菜……都是春天特别馈赠的恩物。
吃爽了喝安逸了,诗,可能就从嘴里心里脑海里流淌出来了。
钓鱼采野菜:全家人的欢乐

南川黎香湖

南川黎香湖边的东湖村,有两座山,一座叫阳泥湾山,一座叫杷叶湾山,山脚农田、山腰竹林、山顶松树林,都是野菜野果野草药生长的好地方。这里的野菜,多到不能用一簇簇或者一堆堆来形容,合适的量词是一山又一山。
如今去到山上,可以挖的野草药有车前草、五皮风、柴胡,野菜有春笋、蕨菜、野葱。等到下个月,甜蜜蜜的野桑葚和三月泡也熟了。
湖边有农家乐,周末基本上都是一家人来,男的去黎香湖钓鱼,女的和孩子就上山到处采摘野菜玩。
推荐路线重庆主城上渝湘高速——大观下道——黎香湖小学——沿村道到东湖村即可。

忠县骑龙村

忠县骑龙村中的溪不叫溪,名为戚家河,河水清洌。戚家河上至螺丝洞,下至戚子滩,约1000多米,两岸长满折耳根、野葱等野菜。
骑龙村素有种植樟树传统。每逢三月末四月初的时候,漫山遍野的樟树花随风飘散,像下雪一样,美得很。
顺螺丝洞而下,采野菜的区域有百余亩。采累了,可以撑一根鱼竿,在戚家河里钓几条野生鱼;采饿了,附近农家乐为你准备了酸菜戚家河野鱼、腊排骨炖土鸡、自制石磨豆花、野葱炒腊肉……
推荐路线重庆主城上沪渝高速——忠县下道——黄金镇——骑龙村。
赏花采野菜:饱眼福又饱口福

石柱三河油菜花田

平原地区的油菜花开始凋零,位于山区的石柱三河镇的万亩油菜花却开得正旺,花间种类繁多的野菜,也正当采摘尝鲜的好时节。

田野里、河两岸、小丘上野菜众多,野葱、苦菜、清明蒿、折耳根、车前草、香麻叶、蒲公英……郁郁葱葱。
推荐路线
重庆主城上沪渝高速(沿江路)——涪陵——丰都——石柱县城——三河镇川主坝、陈家坝。

云阳栖霞油菜花田

半月前,云阳栖霞镇万亩油菜花开始次第绽放,金色花海吸引着人们前去。花田里,还随处可见用小铲子采野菜的市民。
蒲公英、折耳根、马齿苋、清明菜……种类繁多,加上周围的油菜花盛开得层层叠叠,真是采得过瘾,看得开心。
推荐路线
重庆主城上沪蓉西高速——云阳下道——沿开利路行驶1个小时左右到达栖霞村。

綦江三角木瓜海棠园

綦江区三角镇的1600亩木瓜海棠园里,火红的海棠花密密麻麻缠绕在枝桠上,热情而浓烈,同样热烈的油菜花点缀其中。这如画的花海里,还藏着各种野菜。
蒲公英、野葱、折耳根、厥菜……在春日暖阳的照耀下,在花儿的“掩护”中疯长。
赏过花采好野菜,在附近农家乐稍作休息后,还可以到紧邻的綦江国家地质公园红岩坪景区,看马桑岩木化石群、恐龙遗迹化石群、老瀛山丹霞地貌长廊、古剑山丹霞地貌。
推荐路线
重庆主城上渝黔高速——通惠下道——三角镇桐垭村——木瓜海棠园——綦江国家地质公园红岩坪景区。

綦江永新凤凰山梨园

綦江区永新镇凤凰山万亩梨园上周开园了,这几天正值赏花期。很多游客上山,不仅是钟情于梨花,还因为钟情于山上的野菜。

梨园里野菜品种丰富,尤以清明菜为多,刚刚从土里萌发出来,绿油油的招人喜爱,用来制作清明粑,味道清新得很。
推荐路线
重庆主城上渝黔高速——綦江下道——永新镇——梨花山。
专注采野菜:发扬吃货精神

大渡口红胜村采蕨菜

大渡口跳磴镇红胜村四社的中梁山脚下,有大片大片的蕨菜。
首先要找到一片山坡,那里全部种的枇杷,枇杷林下,藏了一个冬天的蕨根,钻出身子来,占领了这片土地。
除了枇杷林遍地是蕨菜外,翻过山坡,爬到中梁山山顶,还有更大片更肥壮的蕨菜,附近的村民这阵子经常去采了进城卖。
推荐路线
重庆主城乘259路公交车——小南海温泉站——前行1公里即到;自驾经华福路到小南海温泉大门,再往前1公里,可达山脚下。

武隆双河挖春笋

近日,武隆县双河乡新春村迎来了一群寻“野味”的客人,碧绿竹林中,有的猫着腰找笋,有的提着锄头试挖。
新春村漫山遍野都是竹林,这两天春雨下过,周末的竹林里又将新发出大量春笋。
春笋仍埋地下,如何采挖?地面有微微突起,且土壤较松的地方,肯定有笋;挖笋时,要谨慎地把笋尖周围的土轻轻刨开,再顺着笋子生长的方向深挖,避免损伤或者挖断竹笋。
推荐路线
重庆主城上渝湘高速——武隆下道——沿巷双路到达双河乡——新春村。

永川茶山竹海摘竹叶菜

竹叶菜,小小的碧绿的叶子,状似竹叶。最大的妙处还在口感,只用清油和盐、辣椒一炒,又脆又嫩,嚼劲十足。
在永川茶山竹海的山野间,只要你愿意,拎着篮子沿着小径往山上走去,在水沟边及荒野中的潮湿地,很容易发现大片大片竹叶菜的身影。
推荐路线
重庆主城上成渝高速——永川下道——沿途按路标指示至中华茶艺山庄附近。

南川永隆山掰“刺老包”

“刺老包”又叫刺嫩芽、树头菜。几场春雨后,这种浑身是刺的小乔木顶端迅速长出嫩芽。嫩芽散叶状如香椿,那微苦清香的味道,充满大自然的灵气。
永隆山与南川新城区紧密相连,只要仔细观察,山上的树丛中到处是“刺老包”的身影。

新鲜“刺老包”放在沸水过一下,捞出后用冷水清漂5分钟,沥干水分,既可拌上佐料当凉菜吃,也可姜蒜、干辣椒炝炒。如果炒时加点腊肉,更是绝配!
推荐路线
重庆主城上渝湘高速——南川下道——兴隆公路——永隆山。

周末出去踏青摘野菜,
哪些是可以吃的?
怎么个吃法?
让小编来告诉你吧
中医认为不少野菜还有养生的功效呢
1、柳叶柳芽|败火功效

柳叶有清热、败火、解毒的作用。柳芽含有丰富的蛋白质,柳芽也可以泡茶,常喝非常养生和保健。
【具体做法】:柳芽用开水焯后再放冷,加上麻油、食盐、葱蒜、香醋拌匀当菜吃,或将柳芽晒干到夏天用豆油炸着吃。现在,凉拌柳叶已是饭店餐桌上的一道名菜。
2、马齿苋——糖尿病

作为生活中最常见的一种野菜,马齿苋对于降血糖非常有帮助。因为马齿苋中有丰富的去甲肾上腺素,这种物质能够有效促进胰岛腺分泌胰岛素,对于调节人体糖代谢是有帮助的,可降低血糖浓度、保持血糖恒定。
【具体做法】:焯过之后炒食﹑凉拌﹑做馅都可以。比如马齿菜炒鸡蛋,蒸马齿菜馅包子,或煮点清热止痢的大蒜马齿。
3、清明菜——降血压
清明菜又名佛耳草、寒食菜,民间称其为“白蒿子”。清明菜能扩张局部血管,可用于治高血压,被称为“野菜中的降压药”。
【具体做法】:传统吃法是将嫩苗洗净沥去水分后捣烂为泥,滤取鲜汁液与糯米粉拌匀,加入白糖、鲜橘皮细丝等调料,制成圆饼蒸熟后食用。如果嫌制作麻烦,也可在做汤时,把清明菜切碎直接倒入汤中提味。
4、荠菜——降胆固醇
荠菜又名菱角菜、麦地菜、枕头草、护生草等,含有丰富的蛋白质、胡萝卜素、维生素C以及人体所需的多种营养。
【具体做法】:荠菜吃法也很多,荤素烹调均可,如清炒、煮汤、凉拌。荠菜饺子、荠菜馄饨、荠菜包子、做春饼及荠菜豆腐羹等。
5、灰灰菜——防贫血
灰灰菜又名灰菜、灰条。特别要强调灰菜具备的清肠、通便作用,立竿见影。常食灰菜,减肥瘦身效果非常明显。
【具体做法】:把幼嫩的灰灰菜清洗干净,放进沸水中焯一下,拌入葱、姜、蒜、盐、味精、香油即可食用。 灰灰菜幼苗和嫩茎叶可食用,味美、鲜嫩、口感好,营养丰富,具有清热、解毒作用。
6、苜蓿菜——抑制出血
苜蓿菜也叫金花菜、草头,营养价值很高。苜蓿中含有大量的铁元素,可作为治疗贫血的辅助食品,苜蓿中所含的B族维生素成分,可治疗恶性贫血。此外,苜蓿还含具有止血作用的维生素K,民间常用来治疗胃病或痔疮出血。
【具体做法】:苜蓿经油炒后,趁热进食。冷却后进食,其味亦佳,其汁有清沁心脾之感,在燥烈季节,如果觉得唇干舌燥,用以佐膳,是维护健康的上品菜肴。
7、苦菜——预防肿瘤
苦菜又被称作是苦荬(mǎi)菜,药用价值很高,对胆囊炎、高血压、心脑血管疾病有着很好的疗效。因为这种野菜中含有丰富胡萝卜素和维生素,对治疗贫血疾病,提高身体免疫力有药用价值。
【具体做法】:苦菜因为味道比较苦,很多人可能吃不惯,建议不要直接生吃,可焯烫后凉拌,能减轻一些苦味。也可以将苦菜焯烫后切碎做馅儿吃,苦味也不是很重。
8、白蒿——治风湿病
白蒿,大名叫茵陈,有清热利湿、凉血止血功效。据《本草纲目》记载:其味苦、平、微寒,无毒。主治:风湿寒热邪气。热结黄疸,久服轻身益气耐老。还可治通身发黄,小便不利,降低头热,去伏瘕。说明白蒿的药用价值是对人体肝脏很有好处,有护肝补肝的作用。
【具体做法】:把白蒿洗净晾干,当茶叶用,每次冲水喝,还可以解酒。对身患肝炎的人,多喝白蒿水,据说效果还不错。
9、蒲公英——消化不良
消化不良、肠胃不好的人可以适当吃点“婆婆丁”。专家介绍,“婆婆丁”其实就是蒲公英,尤其适合肝火旺、火气大、消化不良及便秘者食用。
【具体做法】:先把蒲公英洗干净,可以不用焯水,直接放点香油、辣椒、盐、醋等调味品拌匀就可以了。也可以蘸酱或蘸汁吃,这样不但能最大程度地保留蒲公英的营养成分,还能真正品尝到它的鲜味。
10、鱼腥草——防胃癌
鱼腥草中每百克含蛋白质2.2克、脂肪0.4克、多糖6克、钙74毫克、磷53毫克以及挥发油等。这些物质对病灶有一定抑制作用。经研究证实,鱼腥草对癌细胞分裂最高的抑制率为45.7%,多用于防治胃癌、贲门癌、肺癌等。
【具体做法】:凉拌,将新鲜鱼腥草冼净,用开水略烫,加入适量食盐、酱油、米醋、椒面、椒油、姜末、葱汁、麻油等调味品拌匀。煮粥,将鱼腥草水煎取汁煮粥,或是等粥快熟时放鱼腥草适量,稍煮即可食用。
11、治咽炎——吃马兰头
马兰头性味辛凉,有清热解毒、凉血止血、利湿消肿之功效。
【具体做法】:马兰头拌香干是一道特别好吃的美味。将马兰头过水焯熟放在清水中冲凉,之后将马兰头和香干分别切成末和香干拌匀,加入盐、味精、糖、色拉油,最后加入几滴香油调味。
12、香椿——痔疮便血

中医认为,香椿味苦性寒,能清热解毒、抗菌消炎,可用于久泻久痢、肠痔便血等病症。有补虚壮阳固精、补肾养发生发、消炎止血止痛、行气理血健胃等作用。
【具体做法】:最常见的香椿菜就是香椿芽拌豆腐,炸香椿鱼、香椿炒鸡蛋、腌香椿等。

野菜虽好,但食用时一定要谨慎。小编这就来给大家介绍一下“常见有毒野菜”,在田野里采摘野菜时,一定要擦亮眼睛!
1、狼毒草

狼毒草又名叫断肠草。高 0.5 至 1 尺,根浅黄色,有甜味。叶片呈线形,花黄色或白色,也有紫红色。全棵有毒,根部毒性最大。吃后呕吐、烧心、腹痛不止,严重的可造成死亡。
2、老公银

老公银又名叫蛇床子、野胡罗卜。根在幼苗时为灰色,长大后成浅黄色,像胡罗卜,叶柄黄色。老公银的臭味很大,叶和根都有剧毒。吃后会造成死亡。
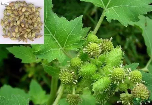
3、苍耳子

苍耳子又名耳棵。生长在田间、路旁和洼地。三四月份长出小苗,幼苗像黄豆芽,向阳的地方又像向日葵苗;成年后粗大,叶像心脏形,周围有锯齿,秋后结带硬刺的种子。全棵有毒,幼芽及种子的毒性最大,吃后可造成死亡。
4、曲菜娘子

曲菜娘子冬季根不死,春天出芽,长出小苗。叶狭长较厚而硬,边有锯齿,大部分叶子贴着地面生长,秋后抽茎,高 0.5 至 1 尺多。籽很小,上有白毛。幼苗容易和曲菜苗相混,但曲菜叶较宽而软,锯齿也不明显。吃了曲菜娘子脸部会变肿。
5、 毒芹

毒芹又名野芹菜、白头翁、毒人参。生长在潮湿地方。叶像芹菜叶,夏天开花,全棵有恶臭。全棵有毒,花的毒性最大,吃后恶心、呕吐、手脚发冷、四肢麻痹,严重的可造成死亡。
6、野生地

野生地又名猪妈妈、老头喝酒。春天开紫红色花,有的带黄色,花的形状像唇形的芝麻花。根黄色,叶上有毛,有苦味。吃后吐、泻、头晕和昏迷。
7、毒蘑菇

毒蘑菇其种类很多,常见的有毒伞。生长在腐烂的物品上,形状特殊,有的像小笔、小伞。颜色鲜艳,有白色、红色、黄色,都含剧毒。
8、曼陀罗

曼陀罗花不仅可用于麻醉,被称为“东方麻醉剂”,其叶、花、籽均可入药,味辛、性温,有大毒。
9、毛茛

别称:老虎脚迹、五虎草。毛茛科毛茛属多年生草本,单叶,掌状分裂,花黄色,有光泽。须根多数簇生。茎直立,高30-70厘米,中空,有槽,具分枝,生开展或贴伏的柔毛。
10、天南星

皮肤与之接触发生瘙痒,误食后舌、喉发痒而灼热,肿大,严重的以致窒息,呼吸停止。食五钱可引起中毒。
来源:重庆好食荟、生命时报、湖北经视等
编辑:袁尚武 何旭 汤寒锋 柏云辉