古有孟母三迁,今有择校而居。全徐州的爸爸妈妈们可能都会为了孩子们一个名校上学的名额殚精竭虑,而徐州北区的一些家长们却可以稍稍松口气了,因为这里即将多7所名校。对于北区孩子上学来说可谓是重大利好。


10月31日,徐州市规划局网站发布了5所学校的规划公示,都位于鼓楼区,分别是树德中学、沈孟路幼儿园、北辰小学、九里山小学、铜沛小学。另据都市晨报,鼓楼区今年年底将开建九龙湖小学,再加上在建的崇信小学,明年或将有7所学校投入使用。

根据徐州市规划局公示的方案和鼓楼区教育体育局的消息,这几个所小学的规划方案如下:

九里第一小学
即九里山小学,位于九里山西路北侧、三环西路东侧,用地面积48995平方米,总建筑面积25542平方米,建筑密度15%,绿地率35%,办学规模8轨48个班。今年年底开工,明年投入使用。

(九里第一小学总平面图)
该校区附近较近的二手小区包括美尔小区和九里城市花园,目前的二手房均价普遍在5200-6500元/㎡。附近新楼盘为玉潭花溪、泽信公馆。
北辰小学二期
在一期的基础上向西扩建,用地面积33750平方米,总建筑面积21564平方米,建筑密度18.81%,绿地率35%。还将建5000平米运动操场。今年年底开工,明年投入使用。从规划图纸上看,该校也会建有报告厅、和食堂,同时配有笼式足球场、篮球场和排球场。

(北辰小学二期总平面图)
该校区附近较近的二手小区包括徐矿金桂园、九里新苑等小区,目前的二手房均价普遍在7200-9500元/㎡。而距离较近的次新盘有苏宁悦城和港利上城国际,两家楼盘上批均价均在8000元/㎡左右。
铜沛小学
即苏堤路小学,位于苏堤北路东侧,铜沛路北侧,用地面积37302平方米,总建筑面积22348平方米,建筑密度19%,绿地率35%,办学规模8轨48个班。今年年底开工,明年主体工程完工。从规划图纸上看,该校不但建有图书馆、报告厅、风雨操场和食堂,还配有高端的笼式足球场、网球场和羽毛球场。

(铜沛小学总平面图)
该校区附近较近的二手小区包括沈场小区、苏堤小区、畔苑小区、金色里程、华润绿地凯旋门、和园爱家等小区,目前的二手房均价普遍在8000-17000元/㎡
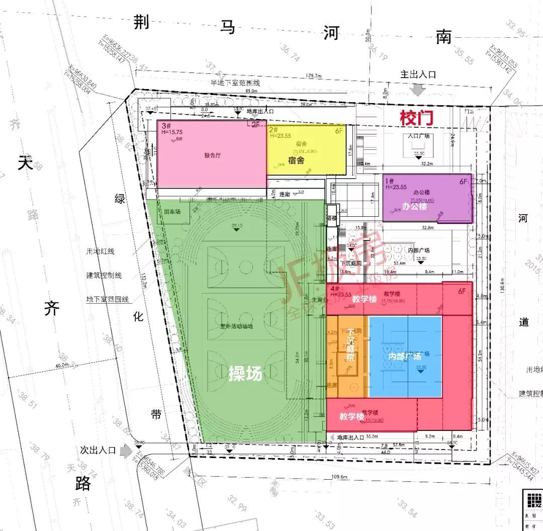
树德中学
位于天齐路以东,荆马河南路以西,用地面积15970.09㎡,用地性质为中小学用地,总建筑面积26833.11㎡,容积率1.33,建筑密度28.24%,绿地率35%。根据规划,学校建设了办公楼、教学楼、食堂、报告厅、宿舍等其它活动场所。

(树德中学新校区总平面图)
该校区周边还有徐州市第二中学以及正在建设的马场二小(九龙湖小学),距离区政府以及马场湖片区也很近。附近二手小区包括贵和苑、山水龙瑞、阳光军旅、怡康花园、山南小镇、华美生态园等小区,目前的二手房均价普遍在12000-14000元/㎡。
九龙湖小学
即马场二小,位于新马场湖路南、天齐路东,占地75亩,总建筑面积2.4万平方米,办学规模10轨60个班。今年年底开工,明年投入使用。

( 九龙湖小学总平面图)
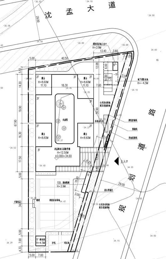
沈孟路幼儿园
位于沈孟大道南侧,用地面积7092.92㎡,用地性质为中小学用地,总建筑面积5000.28㎡,容积率0.57,建筑密度27.86%,绿地率35.06%。根据规划,学校建设了教学楼、配电室等其它活动场所。

该校区附近较近的二手小区包括琵琶花园、滨河小区、华商清水湾、鼓楼花园等小区,目前的二手房均价普遍在8500-12000元/㎡。
崇信小学
正在建设的崇信小学也位于沈孟路南侧。崇信中学和小学占地共90亩,总建筑面积3.5万平方米,中学已投入使用,小学部明年完工。
7所新建学校全部位于鼓楼区,
建成后将大大提升北区的配套,
北区的家长、居民很高兴吧!
孩子上学更方便了,
处在学区的房子也能升值吧!