1月16日,讯哥在湛江市土地和矿业权竞价平台上了解到,湛江有四宗土地成功出让,其中遂溪一宗、坡头三宗,总出让面积52953.1平方米,总成交价5091.51万元。
具体信息如下:
宗地一
(一)地块基本情况

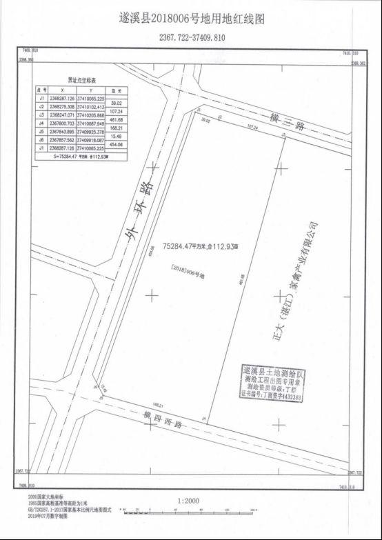
1、地块编号::SWGC2019022
2、土地位置:遂溪县洋青镇洋青工业园 2018006 号地用地
3、宗地面积:75284.47平方米(112.93亩)
4、土地用途:工业用地(植物山楂醋饮料项目)
5、土地现状:宗地红线内场地平整,宗地红线外“三通”(通路、通电、通水)
6、出让年限:50 年

(二)宗地规划情况
容积率:容积率为 容积率为 1-2.0;
建筑密度:建筑密度为30%-60%;
建筑高度:建筑高度≤24 米;
绿化率:绿化率为15%-20%。
(三)起始价及竞买保证金
1、起始价:人民币壹仟贰佰伍拾玖万伍仟壹佰元整(¥12,595,100.00 元)。
2、竞买保证金:人民币伍佰万元整(¥5,000,000.00 元)。成交后转为出让合同
定金。
3、竞价幅度:人民币壹拾万元整(¥100,000.00 元)。
4、本宗地不设底价。



(四)关注事项
1、投资强度:项目投资金额不低于 400 万元/亩,年产值不低于 500 万元/亩,年
上缴税费不低于 25 万元/亩。
2、开竣工时间:出让合同签订后一年内动工建设,二年内竣工。
3、竞得者:天地壹号饮料(湛江)有限公司

宗地二
(一)地块基本情况

1、地块编号::WGC2019029
2、土地位置:湛江市坡头区龙头镇龙兴路以西、安佳路以北
3、宗地面积:10000平方米
4、土地用途:二类工业用地
5、土地现状:宗地红线内场地平整,宗地红线外“三通”(通路、通电、通水)
6、出让年限:50 年

(二)宗地规划情况
容积率:0.8≤容积率≤2.0;
建筑密度:30%≤建筑密度≤50%;
建筑高度:建筑限高40米;
绿化率:绿化率=20%。
(三)起始价及竞买保证金
1、起始价:人民币叁佰贰拾肆万元整(¥3,240,000.00)。
2、竞买保证金:人民币陆拾肆万捌仟元整(¥648,000.00),成交后转为出让合同定金。
3、竞价幅度:人民币壹拾万元整(¥100,000.00)。
4、本宗地设有底价。


(四)关注事项
1、产业要求:该地块作为造纸及纸制品业项目用地,但不得属于《市场准入负面清单(2018年版)》、《产业结构调整指导目录(2011年本)》(2013年修订)中的淘汰类项目,禁止类项目。投资强度不低于200万元/亩,年产税收不低于10万元/亩。(其它按湛坡发改函〔2019〕11号执行)。
2、环保要求:(1)原则同意湛江市坡头区龙头镇龙头工业园龙兴路以西、安佳路以北10000平方米土地拟作为造纸及纸制品项目用地开展环境保护前期工作。引进具体项目须符合国家的产业政策、环保政策和相关规划,禁止含有电镀等重污染工艺。(2)项目建设和运营应采取有效的污染防治控制措施,确保污染物达标排放,污染物排放原则上要达到如下要求,具体须按环评批复执行:运营期厂界噪声执行《工业企业厂界环境噪声排放标准》(GB12348-2008);运营期生产废水须处理达到广东省《水污染物排放限值》(DB44/26-2001)及相应行业标准要求后,引至工业园污水处理厂进一步处理;项目建设不得设置燃煤等高污染燃料的锅炉,废气排放执行广东省《大气污染物排放限值》(DB44/27-2001)及相应行业标准;固体废物须按有关规定妥善处理,一般工业固体废物的贮存、处置应符合《一般工业固体废物贮存、处置场污染控制标准》(GB18599-2001)要求,危险废物须交由有资质单位处理,危险废物的暂存应符合《危险废物贮存污染控制标准》(GB18597-2001)要求(其它按湛环坡〔2019〕145号执行)。
3、动工建设时间和竣工时间:交地之日起一年内动工建设,动工之日起三年内竣工。受让人未能按照本合同约定日期或同意延建所另行约定日期开工建设的,每延期一日,应向出让人支付相当于国有建设用地使用权出让价款总额1‰的违约金,出让人有权要求受让人继续履约。
4、开竣工认定标准:开工:依法取得施工许可证后,需挖深基坑的项目,基坑开挖完毕;使用桩基的项目,打入所有基础桩;其他项目,地基施工完成三分之一。竣工:以规划核实全部通过为准。
5、最低开发投资总额约为3000万元。
6、竞得者:湛江市原佳彩印包装材料有限公司

宗地三
(一)地块基本情况

1、地块编号::WGC2019030
2、土地位置:湛江市坡头区龙头镇龙塘路以东、华源路以南
3、宗地面积:32000平方米
4、土地用途:工业用地(兼容仓储用地)、公园与绿地、城镇村道路用地
5、土地现状:宗地红线内场地平整,宗地红线外“三通”(通路、通电、通水)
6、出让年限:50 年

(二)宗地规划情况
用地总面积:32000平方米,其中:其中,工业用地(兼容仓储用地)面积31382.44平方米,公园与绿地610.36平方米,城镇村道路用地7.2平方米。
绿地设置应满足“海绵城市”相关要求。建设项目权属用地范围内规划设置的防护绿地由建设项目投资建设的,该绿地面积可按 50%计入项目用地的规划指标作为奖励。
地块北侧沿华源路设置5米宽防护绿地;西侧龙塘路设置10米宽防护绿地。
容积率:0.7≤容积率≤2.0;
建筑密度:30%≤建筑密度≤50%;
建筑高度:建筑限高 40 米;
绿化率:绿化率=20%。
(三)起始价及竞买保证金
1、起始价:人民币壹仟零贰拾捌万元整(¥10,280,000.00)。
2、竞买保证金:人民币贰佰零陆万元整(¥2,060,000.00),成交后转为出让合同定金。
3、竞价幅度:人民币壹拾万元整(¥100,000.00)。
4、本宗地设有底价。




(四)关注事项
1、该地块用地性质为二类工业用地,适宜作为医药制造业项目用地,但不得属于《市场准入负面清单(2018年版)》、《产业结构调整指导目录(2011年本)》(2013年修订)中的淘汰类项目、禁止类项目。按照政府相关规定,该项目投资强度不低于200万元/亩,年产税收不低于10万元/亩。其它按坡科园函﹝2019﹞13 号文及湛坡发改函〔2019〕10 号执行。
2、环保要求: 引进具体项目须符合国家 的产业政策、环保政策和相关规划,禁止含有电镀等重污染工艺。项目建设和运营应采取有效的污染防治控制措施,确保污染物达标排放,污染物排放原则上要达到如下要求,具体须按环评批复执行:运营期厂界噪声执行《工业企业厂界环境噪声排放 标准》(GB12348-2008);运营期生产废水须处理达到广东省 《水污染物排放限值》(DB44/26-2001)及相应行业标准要求后, 引至工业园污水处理厂进一步处理;项目建设不得设置燃煤等高污染燃料的锅炉,废气排放执行广东省《大气污染物排放限值》(DB44/27-2001)及相应行业标准;固体废物须按有关规定妥善处理,一般工业固体废物的贮存、处置应符合《一般工业固体废物贮存、处置场污染控制标准》(GB18599-2001)要求,危险废物须交由有资质单位处理,危险废物的暂存应符合《危险废物贮存污染控制标准》(GB18597-2001)要求。(3)根据建设项目环境保护管理有关规定,项目建设单位应委托有资质的单位编制项目环境影响评价文件,并按程序办理环评文件报批手续,环评 文件未经批准不得动工建设。其它按湛环坡〔2019〕144 号执行。
3、动工建设时间和竣工时间:交地之日起一年内动工建设,动工之日起三年内竣工。受让人未能按照本合同约定日期或同意延建所另行约定日期开工建设的,每延期一日,应向出让人支付相当于国有建设用地使用权出让价款总额1‰的违约金,出让人有权要求受让人继续履约。
4、开竣工认定标准:开工:依法取得施工许可证后,需挖深基坑的项目,基坑开挖完毕;使用桩基的项目,打入所有基础桩;其他项目,地基施工完成三分之一。竣工:以规划核实全部通过为准。
5、最低开发投资总额为9600万元。
6、工业项目所需行政办公及生活服务设施用地面积不超过工业项目总用地面积的7%。
7、竞得者:湛江寸草制药有限公司

宗地四
(一)地块基本情况

1、地块编号::WGC2019031
2、土地位置:湛江市坡头区南调街规划海进大道以西、海湾大道绿道用地以南
3、宗地面积:3424.63平方米
4、土地用途:城镇住宅用地、公园与绿地
5、土地现状:宗地红线内场地平整,宗地红线外“三通”(通路、通电、通水)
6、出让年限:住宅用地70年

(二)宗地规划情况
总用地面积3424.63平方米,其中:城镇住宅用地2772.55平方米、公园与绿地652.08平方米。
建设项目权属用地范围内规划设置的公园绿地由建设项目投资建设的,该绿地面积可按50%计入项目用地的规划指标作为奖励。
容积率:1.0<容积率≤2.5;
建筑密度:建筑密度≤25%;
建筑高度:建筑限高60米;
绿化率:绿地率≥35%。
(三)起始价及竞买保证金
1、起始价:人民币贰仟零捌拾万元整(¥20,800,000.00)。
2、竞买保证金:人民币肆佰壹拾陆万元整(¥4,160,000.00),成交后转为出让合同定金。
3、竞价幅度:人民币伍拾万元整(¥500,000.00)。
4、本宗地设有底价。




(四)关注事项
1、动工建设时间和竣工时间:交地之日起一年内动工建设,动工之日起三年内竣工。受让人未能按照本合同约定日期或同意延建所另行约定日期开工建设的,每延期一日,应向出让人支付相当于国有建设用地使用权出让价款总额1‰的违约金,出让人有权要求受让人继续履约。
2、开竣工认定标准:开工:依法取得施工许可证后,需挖深基坑的项目,基坑开挖完毕;使用桩基的项目,打入所有基础桩;其他项目,地基施工完成三分之一。竣工:以规划核实全部通过为准。
3、最低开发投资总额(不含国有建设用地使用权出让价款及相关税费)为1670万元。
4、地块144平方米以下户型套数不少于27套。
5、该宗地块东侧须沿东盛大道设置25米宽公园绿地,由土地受让方投资建设。
竞得者:湛江中良置业发展有限公司
