最近几天关于中国渔政对规整钓具使用和规范钓鱼人行为,把钓鱼纳入监管这件事,可以说受到了广大钓鱼人的关注。3.29日,长江流域渔政监督管理办公室主任马毅,在回答中央电视台记者提问的垂钓涉嫌生产性捕捞问题时,中国渔政明确提出了关于垂钓方面的管控。

我们首先说说为何垂钓会被定义成涉嫌性捕捞
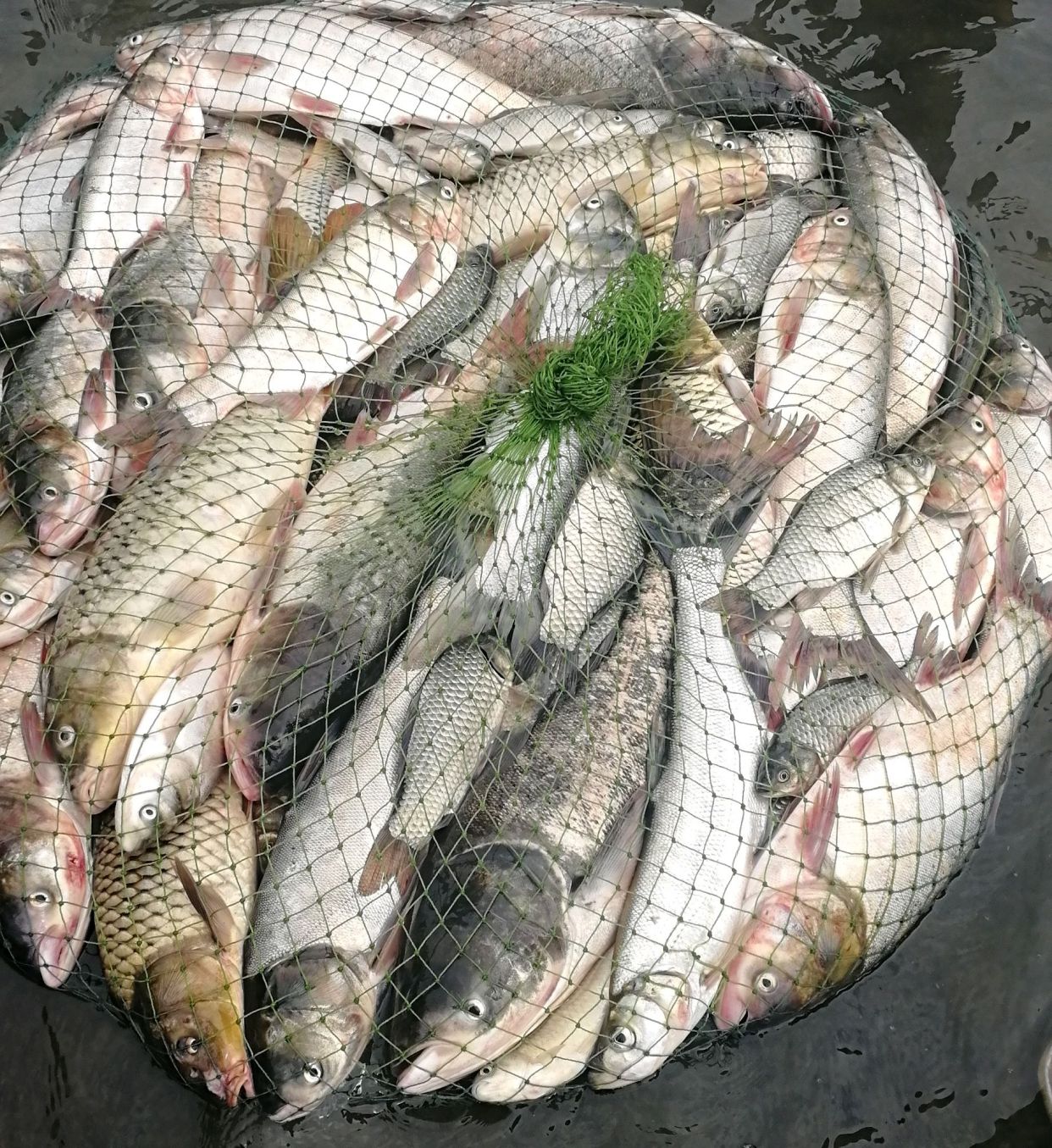
近几年渔具行业可以说发展得非常迅速,而且钓鱼人也是越来越多,还逐渐趋向于年轻化。各种高科技钓具的研发从出不穷,像可视锚鱼,还有五花八门的钓鱼饵料、窝料以及小药添加剂更是让钓鱼人的鱼获屡创新高。有的人一天甚至钓获上百斤的渔获,组团钓鱼的团队更是有近千斤的渔获,而且各种视频进行炫耀,你说炫耀就炫耀吧,甚至还把钓到的鱼拿去进行售卖,什么挑战每天能钓多少鱼,能卖多少钱。这样的渔获,而且还进行售卖交易,说成是涉嫌捕捞我感觉很正常,成功引起媒体关注也在正常不过。真不知这些人想的什么,钓鱼是休闲娱乐,但却变成了一种炫耀和交易,我想应该都是为了想多卖点饵料、多卖点小药吧!

但也就是因为这些人不规范的行为,中国渔政因此提出将钓鱼纳入监管,彻底规整钓具的使用,规范钓鱼人的行为,主要包含以下几点
这三种破坏性渔具严禁使用
①禁止使用爆炸钩:玩过爆炸钩的钓友应该都清楚,爆炸钩专钓大鱼,而且对鱼儿伤害性极大,因为爆炸钩是多枚钩子组成,鱼儿一但中钩,挣扎的时候其它几枚钩子也会钩到鱼儿头部,所以钓上来的大鱼,基本也都活不了,更不要提什么放流了,这就是一种以渔获为目的的一种钓法!所以喜欢玩爆炸钩的钓友,只能说对不起了!

②禁止使用串钩:串钩一般在冬季使用的最多,挂红虫钓鲫鱼比较好用,或者用来挂蚯蚓做钓昂刺鱼等。串钩正常来讲都是五个钩子,但我觉得这种钓法对鱼的伤害性并不是很大,虽然同样是多钩,但不像爆炸钩那么霸道!

③禁止使用可视锚钓:可视锚鱼这种方法更是霸道,针对的对象鱼基本全是大个体的鲤鱼,而且基本无处可藏,被锚到的鱼更是惨不忍睹,严重的直接开膛破肚。我见过一个锚鱼人一天最多锚过几十条鲤鱼,最大的有十五六斤,总渔获上百斤,而且基本全部死掉,也经常拿去卖,天气热时有的臭了就直接扔掉!这种钓法真的应该严加禁止和管控,抓到应该进行重罚!

这三种行为将被禁止
①禁止多竿作钓:禁止使用多根鱼竿同时作钓,其实这个禁止多竿作钓正常来讲应该是针对海竿爆炸钩和串钩,喜欢钓鱼的人应该都知道,海竿爆炸钩和串钩一个钓鱼人起码都会用到3~5支,多的甚至十几支,而台钓和传统钓正常都是单竿,最多不超过两支竿。

②禁止多线多钩作钓:多钩多线一般指的也就是串钩,过河钓之类的钓法!
③禁止单线多钩作钓:单线多钩可以指爆炸钩、盘钩、锚钩等。这里有一点让很多钓友感到迷惑的地方,那就是多钩指的到底是超过几枚为多,两枚钩子到底算不算是多钩,因为台钓用的都是双钩多,这一点可以说受到了广大钓友的关注!

这四种钓鱼用饵将被禁止
①禁止使用有毒饵料:正常来讲饵料都是由五谷杂粮添加一定量的动植物蛋白麸类等特殊工艺制作而成。但饵料还会添加一样东西,那就是诱鱼剂,多数饵料添加的诱鱼剂都是食品级的,也就是可食用香精,所以这种饵料基本问题不大。但有一些饵料的诱鱼剂添加的却是化学药品根本不达标,那么对水体会产生一定的污染,所以也被称之为有毒饵料,禁止使用!

②禁止使用有毒窝料:窝料的制作工艺比较简单,多数也是五谷杂粮,和饵料大同小异,也就是诱鱼添加剂的使用能不能达到食品级,也没什么好说的!
③禁止使用有毒添加剂的使用:这里我们可以指小药添加剂,小药的出现针对的其实是竞技和黑坑。但是如今也是被广泛的应用到野钓中来,虽然小药说的都是浓缩提取物,但是我不这么认为,我敢说现在还没有一款小药能够达到标准,基本都会多少对水质产生一定的污染!
以上这三点,我觉得主要还是要有有关部门来进行处理,野钓环境下小药我们可以不使用,但饵料、窝料是否有毒,达到使用标准,我们钓友是分辨不出来的。只能有关部门实行监管来管控生产厂家!

④禁止使用鱼虾等活体水生生物:一般正常来讲,淡水钓使用鱼虾作钓的钓友并不是很多,海钓用的比较广泛。但针对一些特殊鱼种也会用到,如挂泥鳅小鱼等做钓翘嘴,黑鱼,鳜鱼等攻击性鱼类。这里也有不少钓友产生疑问,那就是活体生物,就有人问到那蚯蚓是不是也不可以用,其实蚯蚓是完全可以使用的,因为它不属于水生生物。但是红虫可就不好说了,因为红虫可是水生生物,而且如果大量繁殖,也会对水生态系统造成破坏哦。

这就是中国渔政这次所提出针对钓鱼人的三种禁用破坏性渔具,三种不规范做钓行为以及四种禁用钓鱼用饵。再有就是禁止以交易为目的钓鱼,也就是禁止钓鱼进行售卖,否则视为非法捕捞。不知各位钓友有何看法呢?
最后要说的就是,钓鱼本就是休闲娱乐,身为钓鱼人我们要自觉遵照国家相关政策,也要加强自身生态环保意识和提高自身的修养与素质,做到自觉规范合理使用钓具及钓法,做到钓获放流,放小留大,自己的钓鱼垃圾自己随手带走,互相监督,共建美好钓鱼环境,让钓鱼能够良性可持续发展,越来越好!
